Rovnou na obsah Rovnou na menu
Menu
ObecČistá
Obec Čistá
okr. Mladá Boleslav

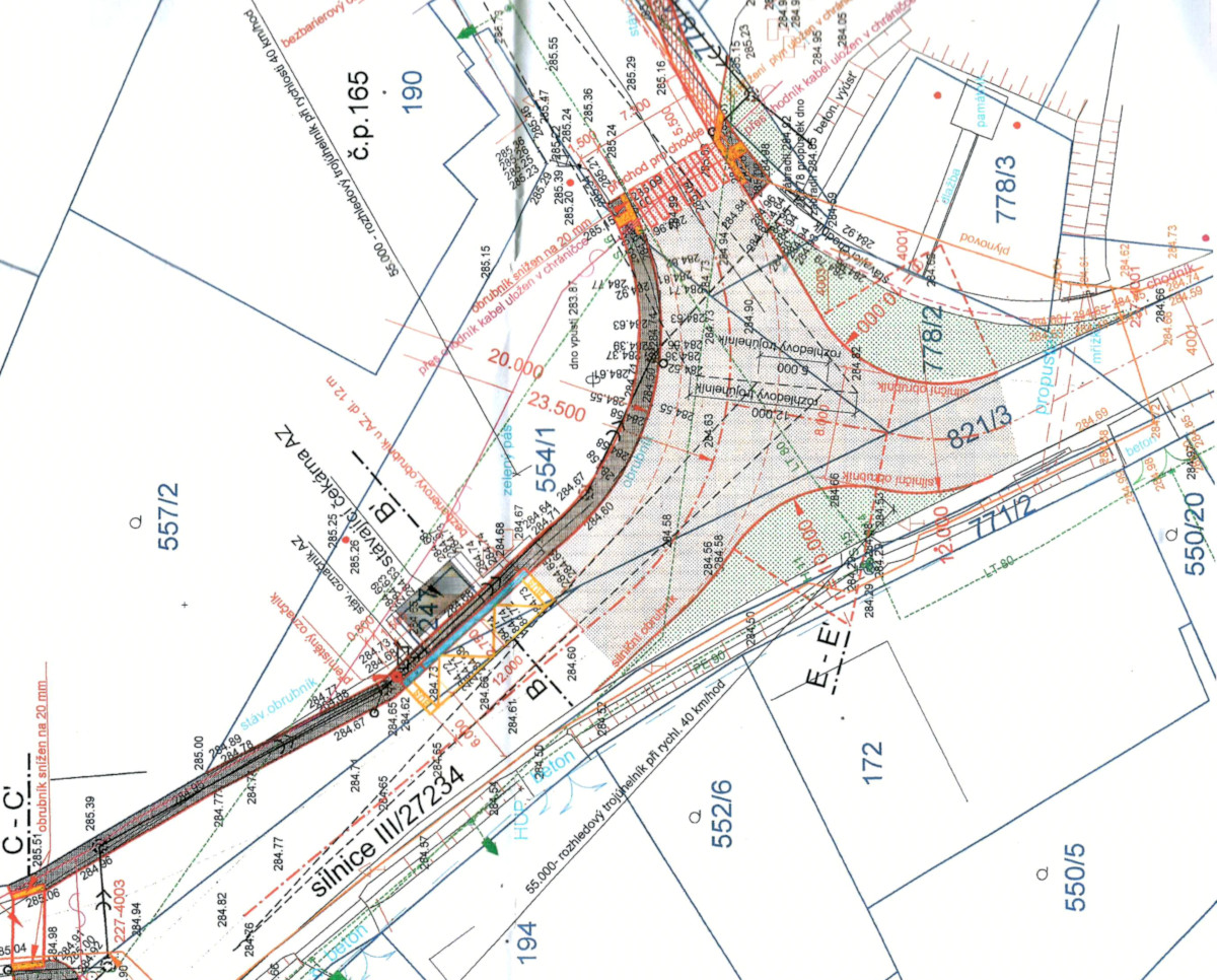
Informace o plánované stavbě „Chodník podél Krajské silnice S III/27234 s úpravou křižovatky U pomníku“

Zřejmě jste již zaregistrovali informaci o plánované stavbě Chodníku podél Krajské silnice S III/27234 s úpravou křižovatky u pomníku.

Tato část Krajské komunikace podél č.p. 190, 171, 174, 161, 165, 260 (parkoviště u Restaurace na Hřišti) a podél dvou autobusových zastávek je poměrně frekventovaná, a proto velice nebezpečná zejména pro chodce, protože zde chybí chodníky. Stávající křižovatka je poměrně nepřehledná, zároveň je zde také celkem silný provoz. Dalším problémem je časté propadání části vozovky přímo v této křižovatce.

Z těchto důvodů obec plánuje investovat nemalé prostředky do stavby Chodníku podél Krajské silnice S III/27234 v trase od parkoviště u fotbalového hřiště až po křižovatku na Bělou pod Bezdězem a Plužnou (po odbočku do ulice k č.p.50 a 272). S touto plánovanou realizací výstavby chodníku je také (dle požadavku Krajského ředitelství policie Středočeského kraje, Územního odboru MB - Dopravního inspektorátu) nutné provézt úpravu stávající křižovatky.

Celá rekonstrukce by mohla začít v ideálním případě ještě v roce 2019, ale reálný termín je spíše až rok 2020. Rekonstrukce bude pravděpodobně probíhat bez uzavírky této komunikace a stávající křižovatky, ale byla by připravena nutná různá dopravní omezení, o kterých vás budeme před zahájením prací informovat.

Rozpočet na tuto plánovanou stavbu je v současné době stanoven na 4 232 541,-Kč. Financování se předpokládá z rozpočtu obce za spoluúčasti Poskytovatele dotace (IROP – Integrovaný regionální operační program), přičemž maximální výše dotace může být až 2 375 000,-Kč.

Kromě již zmíněných chodníků bude vybudováno v celé trase plánovaného chodníku nové pouliční osvětlení (10 lamp), přechody pro chodce, výstavba dvou bezbariérových nástupišť u autobusových zastávek, zatravněné plochy atd. V přílohách se můžete podívat na výkresy připravované rekonstrukce.

Ještě před začátkem samotné plánované stavby Vás budeme informovat o podrobnostech.


Za OÚ Čistá

Vladimír Hrubý, Zdeněk Tyšer

Datum vložení: 28. 1. 2019 9:53
Autor: Hrubý Vladimí­r

Život v obci

Kalendář

Březen2026
Po Út St Čt So Ne
23 24 25 26 27 28 1
2 3 4 5 7 8
9 10 11 12 13 15
16 17 18 19 20 21 22
23 24 25 26 27 28 29
30 31 1 2 3 4 5

Mobilní aplikace

Sledujte informace z našeho webu v mobilní aplikaci – V OBRAZE.

Přihlášení k odběru zpráv

Dostávejte informace z našeho webu prostřednictvím SMS a e-mailů

ČEZ

ČEZ Distribuce – Plánované odstávky

Aktuální počasí

dnes, úterý 3. 3. 2026
skoro jasno 12 °C 0 °C
středa 4. 3. polojasno 12/4 °C
čtvrtek 5. 3. jasno 11/1 °C
pátek 6. 3. jasno 12/2 °C

Svátek

Svátek má Kamil

​​
872 obyvatel
​​
První zmínka: 1352
​​
Kostel
​​
Hřbitov

nahoru